24 марта в Администрации города состоялось рабочее совещание о готовности новой школы №18 в микрорайоне «Заовражье».
С 1 апреля в образовательное учреждение переезжает МБОУ «Лицей Физико-Техническая школа». Начальник управления общего образования Татьяна Волнистова сообщила, что все необходимые условия для этого обеспечены: установлены охранная система и пожарная сигнализация, полностью подключены все коммунальные услуги, готовы учебные помещения, обустроен пищеблок, основные этапы благоустройства завершены.
Прорабатываются вопросы транспортной доступности и организации подъезда к новой школе. Специалисты Управления потребительского рынка, транспорта и связи отметили, что учащиеся смогут воспользоваться общественным транспортом, а именно: маршрутами №18 и 19, проходящими через жилой район «Заовражье».
Глава Администрации города Татьяна Леонова поручила организовать встречу с пассажироперевозчиками в ближайшее время: «Необходимо их предупредить, что с 1 апреля количество пассажиров увеличится. Нужно обратить их внимание но то, что именно школьники теперь станут чаще пользоваться этими маршрутами».
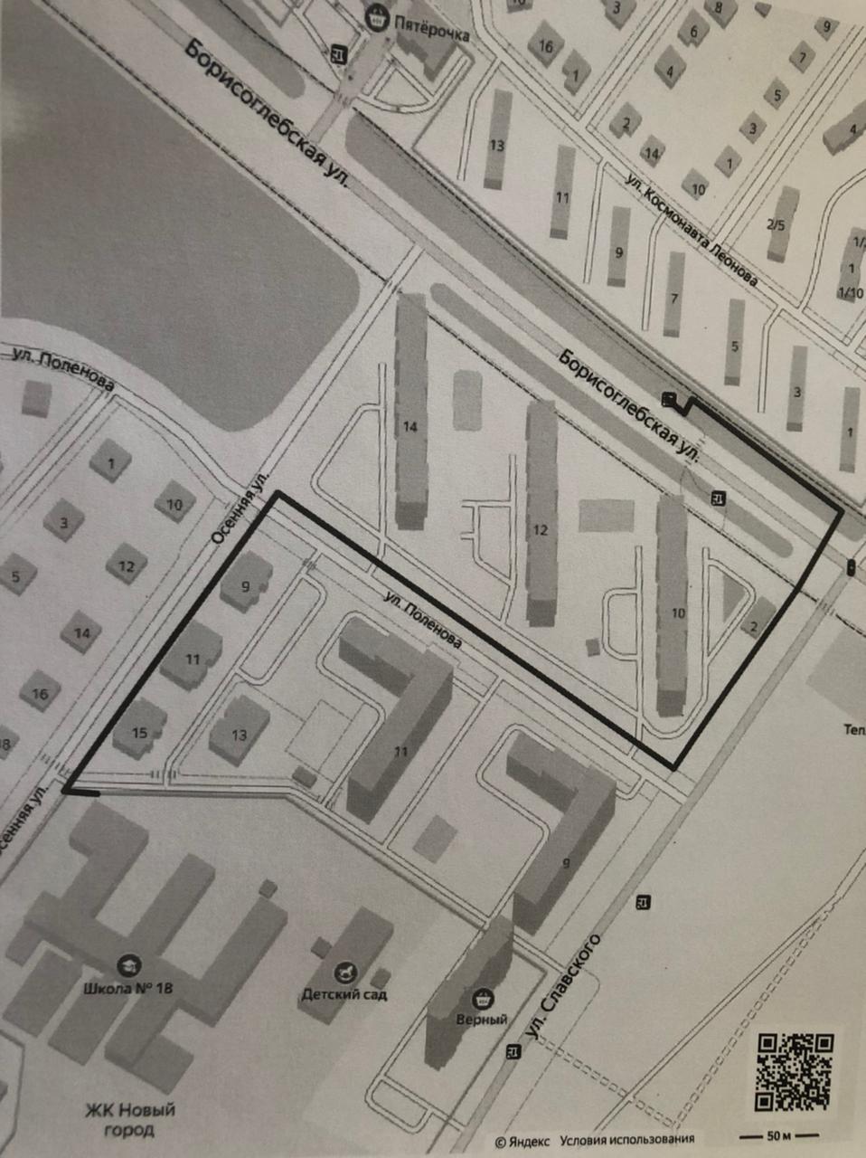
На схеме ниже показаны варианты пешеходных дорог до новой школы.



Пресс-служба Администрации города